Service-Board Classic - Überblick


Handout Service
2. Checklisten
Allgemein
Checklisten dienen zur strukturierten Unterstützung der Aufgaben und können im Vorfeld oder aus einem Ticket heraus erstellt werden.
Wie erstellt man eine Checkliste
Checklisten können nur im Service-Board erstellt werden. Entweder in der Hauptansicht unter dem Reiter Weitere Optionen –> Checklisten -> Neue Vorlage erstellen

Oder im Ticket unter Checklisten –> Checkliste aus Vorlage einfügen -> Neue Vorlage erstellen

Über „Neue Vorlage erstellen“ wird eine neue Checkliste angelegt. Diese kann über den Button „bearbeiten“ Bearbeitet werden.

Für die Neue Vorlage kann eine Bezeichnung und eine allgemeine Beschreibung vergeben werden.Im nächsten Schritt werden „Checks“ zur Checkliste hinzugefügt. Hier können die Checks nicht nur eine Bezeichnung bekommen, sondern auch eine Sortierung sowie eine geschätzte Zeit. Diese Zeit dient als Richtwert für die Mitarbeiter wie lange der Check dauern soll

Checklisten im Ticket und Report
Die Checklisten können im Ticket durch den Mitarbeiter bearbeitet und abgehackt werden. Kann ein Check nicht durchgeführt werden, kann für diesen Check eine Bemerkung erfasst werden

Im Service-Bericht, denn Sie in der c-entron.NET über die Reportverwaltung -> Portalreportladen kostenlos downloaden können, wird die Checklisten Standardmäßig mit angezeigt.

Berechtigung
Für die Checklisten gibt es gesonderte Rechte. Hier kann definiert werden, welche Mitarbeitergruppen „Checklisten Vorlagen“ anlegen und „Vorlagen bearbeiten“ können und welche Mitarbeitergruppen nur die „Checklisten bearbeiten“ können

3. Dispatching
Allgemein
Hier unterscheiden wir zwischen der Möglichkeit der Zuweisung durch die Zeitplanung, Ressourcenplanung und des Dockpanels Dispatcher
Zeitplanung
Zeitplanung ist die „Standard“ Planung und im Service-Board Umfang enthalten. Die Zeitplanung greift über die EWS Schnittstelle des Exchange Server zu. In der Zeitplanung können Tickets über Gruppen/Abteilungen oder Skills in die Outlook Kalender der Mitarbeiter synchronisiert werden.
Exchange ist hier das federführende System!

Ressourcenplanung
Die Ressourcenplanung ist eine Erweiterung der Zeitplanung und benötigt den c-entron Exchange Connector (Zusätzliche Lizenz). In der Übersicht der Ressourcen Planung sind die Zeiten, die auf ein Ticket gebucht wurden auf einen Blick ersichtlich (Geplante Dauer, Berechenbare Zeiten, nicht berechenbare Zeiten und die Differenz). Des Weiteren kann bei der Terminplanung gleich die An- und Abfahrt angegeben werden. An- und Abfahrt wird als separater Termin mit eingetragen.Mitarbeiter können die Termine im Outlook Kalender hingegen zur Zeitplanung nicht einfach löschen, die Termine können nur über die Ressourcenplanung verschoben oder gelöscht werden.
Terminplanung in c-entron ist hier das federführende System!

Dispatcher Dockpanel
Das Dockpanel „Dispatcher“ dient zum Verteilen der neu eingetroffenen Tickets an die Support oder Technik Mitarbeiter.
Über die Ansicht „Aktueller Dispatcher“ ist für alle Mitarbeiter ersichtlich, die das Dockpanel ebenfalls eingebunden haben, welcher Mitarbeiter aktuell „Dispatcher“ ist.
In der Regel wird in diesem Dockpanel ein Filter auf einen Bearbeiter gesetzt, z.B. Support, Technik, MailScanner oder ähnlich.Alle Tickets die neu angelegt werden auf den Bearbeiter „Support“ sind hier ersichtlich und können dannüber den Dispatcher verteilt werden.

4. Zeiterfassung
Allgemein
Im Service-Board stehen Ihnen unterschiedliche Möglichkeiten für die Zeiterfassung zur Verfügung. Nachfolgend werden wir Ihnen dieses Erläutern.
TAPI
Wenn Sie mit der TAPI Schnittstelle ein Telefonat entgegennehmen, erhalten Sie nachfolgende Informationen, wenn die Telefonnummer beim Kunden und Ansprechpartner hinterlegt ist. Sie können während dem Telefonat im Notizen Feld Notizen eintragen und nach dem Telefonat entscheiden ob Sie aus dieser Zeit ein neues Ticket anlegen, oder die Zeit des Telefonats in gestoppte Zeiten hinterlegen.

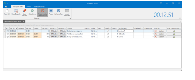
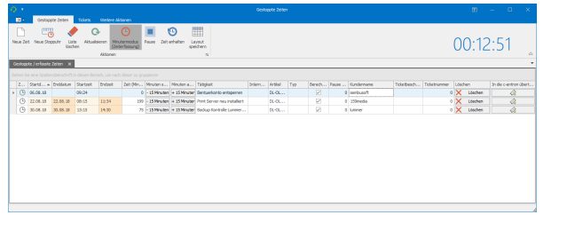
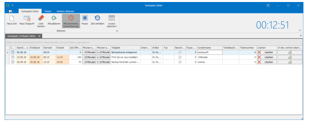
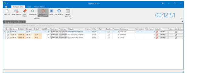
Gestoppte Zeiten
In den gestoppten Zeiten können sowohl die Zeiten der TAPI zwischengespeichert, wie auch neue Stoppuhren und neue Zeiten angelegt werden.

In den Zeiten kann bereits eine Tätigkeitsbeschreibung erfolgen und der Kundenname, bei dem die Arbeiten durchgeführt worden sind. Diese Zeiten können dann in ein bestehendes Ticket oder in ein neues Ticket übernommen werden. Sobald die Zeiten zu einem Ticket zugewiesen sind, sind Sie in den gestoppten Zeiten nicht mehr ersichtlich
Manuelle Erfassung´
Im Ticket können Zeiten jederzeit manuell erfasst und bearbeitet werden.
Hinweis: Wurde eine Zeit in einen Lieferschein oder Rechnung übernommen, so kann diese nicht mehr bearbeitet werden.

Über den Button Tabellarische Zeiterfassung gelangt man aus dem Ticket direkt in die Übersicht der gestoppten Zeiten.
In der Zeiterfassung können Sie (1) Textbausteine oder Checklisten (wenn dem Ticket eine Checkliste zugewiesen wurde) in die Zeitbeschreibung einfügen. Sie können Zeiten in ein anderes Ticket verschieben (2), wenn diese versehentlich falsch angelegt wurde. (3) Wird die Zeit unterschrieben und über einen Report / Service-Bericht an den Kunden verschickt, so wird dieser Haken automatisch gesetzt. Alternativ können Sie den Haken auch manuell setzen, wenn der Kunde z.B. den Service-Bericht im Nachgang unterschrieben und Ihnen zugeschickt hat. Diese Buttons (4) können in den Einstellungen –> Weitere Einstellungen -> Zeiterfassung angepasst werden.

Stoppuhr
In den persönlichen Einstellungen der c-entron können Sie Stoppuhr Userbezogen aktivieren.

Voraussetzung ist, dass die globale Einstellung „Zeiterfassung bei Anlage eins neuen Tickets“ aktiviert ist

Sobald ein Mitarbeiter dann ein Ticket öffnet, beginnt die Stoppuhr zu laufen. Wurde die Arbeit abgeschlossen klickt der Mitarbeiter auf die Stoppuhr. Die Start- und Endzeit wird automatisch in das Fenster „Zeiterfassung“ eingetragen.

Wird ein Ticket geschlossen obwohl noch eine Stoppuhr läuft kommt folgende Auswahl

5. Controlling
Allgemein
Für das Controlling im Service-Board stehen Ihnen verschiedene Dockpanels zur Verfügung. Richten Sie das erste Mal zusätzliche Dockpanels ein, so müssen Sie in den Einstellungen die „Zusatzfeature Offline Modus aktivieren“ bzw. hier die Verbindungsdaten zum SQL Server einmalig eintragen.

Neue Dockpanels können Sie über den Reiter Dockpanel -> Neu hinzufügenHier können Sie für die Dockpanels einen Namen vergeben und auswählen ob alle Tickets, nur eigene Tickets oder gemerkte Tickets angezeigt werden sollen

In den meisten Dockpanels finden Sie rechts den Button Drucken. Über den Button können Sie die gefilterten Daten drucken.

Alternativ können Sie die Daten auch Exportieren in z.B. Excel. Hierfür einfach auf Drucken klicken und im folgenden Fenster auf „Exportieren nach“ klicken.

Filter
In allen Dockpanels können Filter gesetzt werden, dies ist vor allem für das Thema Controlling interessant.
Wird ein Filter gesetzt, so ist dies unten in dem entsprechenden Dockpanel ersichtlich

Über Filter bearbeiten kann der gesetzte Filter bearbeitet werden. Folgende Auswahlmöglichkeiten stehen zur Auswahl: und, oder, nicht und, nicht oder. Des Weiteren können Bedingungen und Gruppen hinzugefügt werden

Klickt man auf die Filterkriterien 1 oder 2

Zeitenstatistik
In der Zeitenstatistik kann zwischen (1) „Nach berechneter Zeit“ oder „Nach erfasster Zeit“ sortiert werden, der Datumsbereich (2) auf Tag, Woche, Monat etc. angepasst werden, ebenso können Sie die Statistik einzelner Mitarbeiter anzeigen lassen, wenn Sie die Berechtigung dazu haben. Standardmäßig sieht jeder Mitarbeiter nur seine eigenen Zeiten. Die Anordnung (3) kann individuell angepasst werden, hier können Sie auch nach Kunde, Typ etc. filtern.Die Zeitenstatistik wird normalerweise nur für den angemeldeten User sichtbar.

Ticketstatistik
In der Ticketstatistik bekommen Sie eine Übersicht über Jahr, Monat, Woche oder Tag welche Tickets in welchem Staus sind mit Summe, der Gesamtsummer der Tickets pro Mitarbeiter und die Gesamtanzahl der Stunden. Der Filterbereich (roter Rahmen) hier im Beispiel nach Bearbeiter, ist wie in allen Dockpanels anpassbar, sprich Sie können hier nach den Feldern Filtern, die Ihnen wichtig sind.

Ticketdifferenz-Analyse
Im Dockpanel Ticketdifferenz-Analyse sieht man über den Zeitraum x die Anzahl der geöffneten und geschlossenen Tickets sowie die Differenz dazu. Die Differenzanalyse kann auch nach Helpdesktyp gefiltert und angezeigt werden.

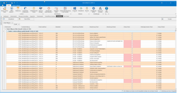
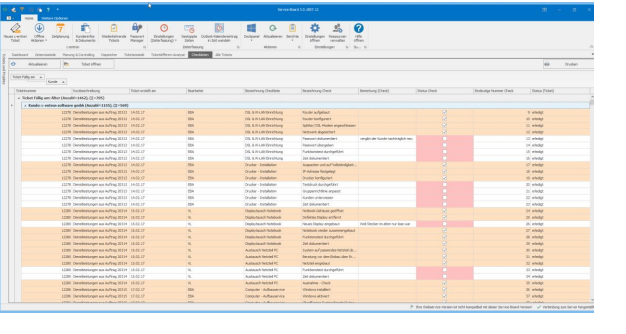
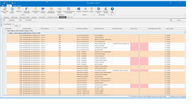
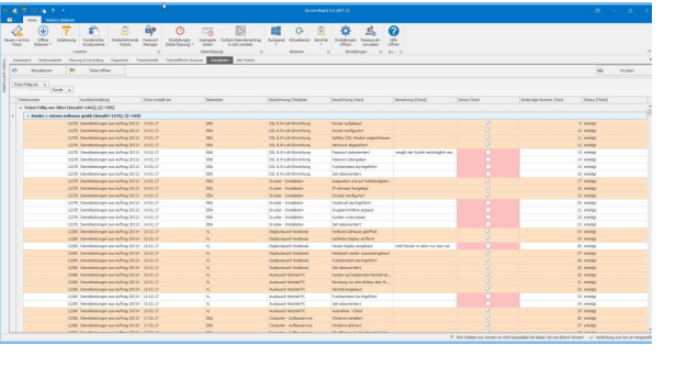
Checklisten-Controlling
Über das Dockpanel Checklisten-Controlling erhalten Sie eine Übersicht über die Tickets in denen eine Checkliste eingebunden ist. Hier ist auf einen Blick ersichtlich welche Checks bereits ausgeführt worden sind und welche Checks ggf. noch offen sind. Hat der Mitarbeiter eine Bemerkung eingetragen bei einem Check, ist diese Bemerkung ersichtlich

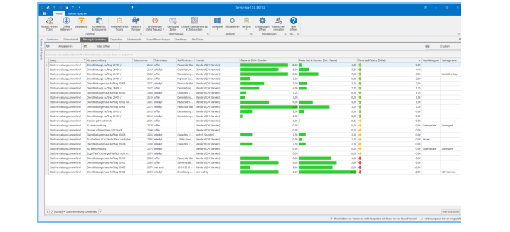
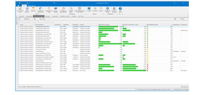
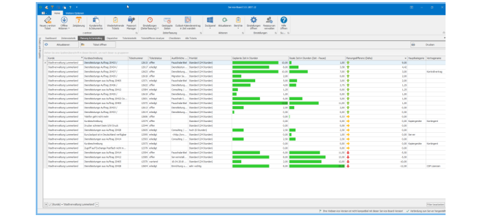
Planung und Controlling
Werden Tickets automatisiert durch einen c-entron Auftrag angelegt, wird die Dauer des Dienstleistungsartikels im Auftrag in die geplante Zeit übernommen. z.B. 2 Stunden Dienstleistung im Auftrag = 2 Stunden geplante Dauer im Ticket.
Im Dockpanel Planung und Controlling wird die geplante Zeit der realen Zeit, die die Mitarbeiter erfasst haben gegenübergestellt. Ist die Planungsdifferenz (Delta) positiv wird dies mit einem grünen Pfeil und die negative Differenz mit einem roten Pfeil ersichtlich.Tickets in denen keine Geplante Zeit erfasst wurde werden mit dem gelben Pfeil dargestellt.

Auch Tickets die „manuell“ angelegt werden, können nachträglich oder bei der Ticketerstellung über Zusatzinformationen eine geplante Dauer hinzugefügt bekommen.

Alle Tickets (inkl. Erledigte)
In diesem Dockpanel werden standardmäßig alle Tickets inkl. der erledigten Tickets angezeigt, das Start und das Enddatum kann über den Datumsfilter angepasst werden. Dieses Dockpanel wird von vielen Kunden auch gerne genutzt um es nach Bearbeiter, Kunden oder Typ zu filtern. So erhält man eine Übersicht wieviel Tickets bei welchem Bearbeiter liegen, welcher Kunde aktuell wieviel Tickets hat oder bei welchen Typen z.B. Störung oder Installation derzeit Tickets anliegen.

Tickets und Geräte
Wenn Sie die RiverSuite bei Ihren Kunden im Einsatz haben, können Sie über das Dockpanel Tickets und Geräte die inventarisierten Geräte des Kunden mit einem Ticket verknüpfen. So können Sie später auch auswerten wie oft es zu dieser Hardware Probleme gab und ob es evtl. immer das gleiche Problem war.

Ticketvorlage
Im Service-Board haben Sie die Möglichkeit Ticketvorlagen anzulegen. Ticketvorlagen werden gerne genommen für arbeiten wie z.B. Sicherheitscheck, neuen Benutzer anlegen, Toner austauschen etc.Unter Vorlagen können Sie neue Vorlagen anlegen, bestehende Vorlagen bearbeiten oder bestehende Vorlagen zu einem Ticket auswählen.

Um eine neue Vorlage zu erstellen, legen Sie das Ticket mit der Kurzbeschreibung, Beschreibung und den Ticketdetails wir Typ und Kategorie an und speichern das Ticket. Anschließend gehen Sie auf Vorlage -> Neue Helpdeskvorlage und geben der Vorlage einen Namen. Zu der Vorlage kann noch eine Checkliste eingefügt werden

Wenn Sie jetzt ein neues Ticket für einen Kunden anlegen, können Sie die neue Vorlage z.B. Sicherheitscheck auswählen. Anschließend wird die Kurzbeschreibung, ausführliche Beschreibung, die Ticket Details und ggf. eine Checkliste zu dem Ticket hinzugefügt. Sie haben also nur den Kunden ausgewählt und der Rest wird von der Vorlage übernommen

Wiederkehrende Tickets
Für wiederkehrende Tätigkeiten wie z.B. Firmware Updates, Event Logs, Patchmanagement etc. können automatisiert Tickets angelegt werden.Dazu in der Hauptmaske auf wiederkehrende Tickets klicken.

Im nachfolgendem Fenster sehen Sie die Tasks die angelegt und aktiv sind. Darunter die Tickets die über diesen Task angelegt wurden.

Über Task erstellen können Sie einen neuen Task für einen Kunden erstellen

Für die wiederkehrenden Tickets gibt es im Vergleich zu den normalen Tickets mehr Pflichtfelder (1) die ausgefüllt werden müssen. Unter Punkt (2) kann definiert werden ob das Ticket täglich, wöchentlich am z.B. Donnerstag, monatlich oder jährlich erstellt werden soll. Darunter kann ein Enddatum für diesen Task erstellt werden, Kein Enddatum oder endet nach z.B. 12 Wiederholungen. Bei Punkt 3 wird definiert ob und wann das Ticket im Voraus angelegt wird

Beispiel: Es wird jeden 2 Donnerstag ein Ticket erstellt, bei „Ticket im Voraus“ wird 2 Tage um 9 Uhr ausgewählt. Das Ticket würde dann bei dem Bearbeiter alle 2 Wochen am Dienstag um 9 Uhr angelegt werden.
6. Service-Board - Good to know
Drag an Drop
Sie können aus dem Outlook heraus eine E-Mail per Drag and Drop ins Service-Board ziehen, ist in der E-Mail eine Ticketnummer vorhanden, wird die E-Mail automatisch zu dem Ticket unter Dokumente abgelegt.
Ist in der E-Mail keine Ticketnummer vorhanden, wird für die E-Mail und den Kunden ein neues Ticket angelegt. Betreff = Kurzbeschreibung und Body = ausführliche Beschreibung.
Ticket Aktionen – Ticket verschieben

Ein Ticket wurde an mehrere Bearbeiter weitergeleitet, wenn ein Mitarbeiter auf „Ticket übernehmen“ klickt, fallen alle Mitarbeiter aus der Bearbeiterliste und er bleibt der einzige Bearbeiter.
Es sind 2 Mitarbeiter in der Bearbeiterliste eines Tickets. Mit einem Klick auf „Mit übernehmen“ wird der angemeldete Mitarbeiter ohne Weiterleitung des Tickets direkt mit in die Bearbeiterliste eingetragen.
Es sind mehrere Mitarbeiter in der Bearbeiterliste eines Tickets, mit einem Klick auf „Ticket abgeben“ wird der angemeldete User aus der Bearbeiterliste entfernt. Ist er der einzige Bearbeiter des Tickets, steht die Funktion nicht mehr zur Verfügung, jedes Ticket benötigt mindestens einen Bearbeiter in der Bearbeiterliste
7. Service-Board-Online
Allgemein
Über das Service-Board-Online können sich Mitarbeiter und Kunden, die über einen Webaccount verfügen, anmelden und Tickets erstellen, bearbeiten und abschließen.

Ticket Im Ticket steht den Mitarbeitern der gleiche Funktionsumfang für die Ticketbeabeitung zur Verfügung.

Für den Kundenzugriff hängt der Funktionsumfang an den Berechtigungen, die vergeben wurden.

8. iSuite
Allgemein
Die App iSuite gibt es für iOS und Android Geräte.

Ticket
In der Ticketübersicht erhalten die Mitarbeiter eine Übersicht der Tickets in denen Sie als Bearbeiter eingetragen sind. Über den Filter oben rechts kann die Suche angepasst werden, über die Statistik daneben erhalten die Mitarbeiter eine Übersicht über berechenbare und erfasste Zeiten der letzten 3 Tage

Tickets können in der iSuite komplett bearbeitet, weitergeleitet und abgeschlossen werden. Die Erfassung von Zeiten und die Erstellung von Berichten und die Anzeige von Dokumenten ist ebenfalls gegeben.

Über den CRM Button unten in der Mitte kann nach einem Kunden gesucht werden.

Im Kunden bekommen Sie Einsicht (Je nach Berechtigung) auf die Stammdaten, Ansprechpartner, Berichte, Umsatz usw. und können auch ein neues Ticket für diesen Kunden anlegen.

Extras
Unter dem Reiter Extras stehen Ihnen noch nützliche Funktionen zur Verfügung, z.B. die Stoppuhr oder die Umkreissuche. Mit der Stoppuhr können Sie die Zeit bei einem Kunden erfassen, wenn Sie mal kein WLAN oder Mobilfunk Netz haben.

9. Outlook Plug-In
Allgemein
Mit dem Outlook Plug-In können Sie aus E-Mails vereinfacht Tickets erstellen oder E-Mails zu vorhandenen Tickets anfügen. Es kann auch direkt das Ticket im Plug-In geöffnet werden, wenn die E-Mail eine Ticketnummer mitführt. Über den Button „Tickets“ erhalten Sie eine Übersicht über die Kundentickets, der Kunde wird durch die E-Mail-Adresse, die markiert wird erkann

Die gleichen Möglichkeiten haben Sie auch wenn Sie eine E-Mail markieren und hier über die rechte Maustaste c-entron gehen.

Favoriten
Über die c-entron Leiste haben Sie die Möglichkeit Ihre Favoriten zu pflegen. Wenn Sie jetzt eine E-Mail auf einen Mitarbeiter per Drag and Drop ziehen, wird aus dieser E-Mail ein neues Ticket angelegt und dieses Ticket danach an den Mitarbeiter, auf den Sie die Mail gezogen haben weitergeleitet.

Zwei-Faktor-Authentisierung(2FA-)-Einstellungen im Service-Board
(verfügbar ab Release-Version 3.0.2109.x)
Im Service-Board wurden folgende Optionen zur Unterstützung von 2FA unter Einstellungen – Reiter „c-entron“ unterhalb des Buttons [Daten synchronisieren] eingebaut:

Hinweis anzeigen
Es wird bei einem Login ein Hinweis angezeigt, mit der Aufforderung, die Anmeldung über 2FA zu bestätigen.

Bei Start warten
Diese Option könnte sinnvoll sein, wenn Service-Board automatisch mit Windows zusammen startet.
Es erscheint dann ein Dialog, den man bestätigen muss, bevor Service-Board versucht, sich am Webservice anzumelden.

Eigenes Wörterbuch für die Rechtschreibprüfung
(verfügbar ab Release v3.0.2205.116)
Es kann ein eigenes Wörterbuch für die Rechtschreibprüfung importiert werden.
Wo gibt es Wörterbücher für Service-Board
Service-Board kann Hunspell-Wörterbücher importieren.
Diese kann man im Internet in .oxt - Dateien finden. Z.B. hier: https://extensions.openoffice.org/project/dict-de_CH_frami
Die .oxt Datei kann einfach in .zip umbenannt werden, um sie zu entpacken.
Aus dem Archiv benötigt man die .dic Datei und die .aff Datei.
Diese kann man unter "Weitere Einstellungen" - "Rechtschreibprüfung" importieren
Layout-Profile verwalten über „Layout & Optionen“
Leichtere Verwaltung und Bereitstellung der Layout-Profile durch Nutzung des Webservice.

·Profil
Es stehen sowohl eigene als auch globale Profile anderer Nutzer zur Verfügung.
·Standardprofil
Dieses Profil wird beim erstmaligen Öffnen des Ticketfensters verwendet.
Als neues Profil speichern
Legt das aktuelle Layout des Ticketfensters in einem neuen Profil an.
Aktuelles Profil speichern
Überschreibt das gewählte Profil mit dem aktuellen Layout des Ticketfensters.
Profile verwalten
Öffnet ein Fenster zum Verwalten der Ticketfenster-Profile
Profile verwalten

Bezeichnung
Hier kann das Profil umbenannt werden
Sichtbarkeit
Private Profile können nur vom Ersteller verwendet werden. Öffentliche Profile können auch von anderen Nutzern verwendet aber nicht geändert werden
Besondere Hinweise:
Das alte System kann übergangsweise noch benutzt werden, indem man es in den Einstellungen aktiviert. Alte Profile lassen aufgrund struktureller Änderungen aber nicht in das neue System übernehmen.

Anwendungs-/Fallbeispiel:
1.Rechtsklick auf ein Element und dann „Layout anpassen

Da es unterschiedliche Kontextmenüs gibt, eignet sich am besten ein Rechtsklick auf einen Beschreibungstext.
1.Element per Drag’n’Drop anordnen

Um ein Element ins Tab-Register zu ziehen, muss man es z.B. in die Mitte ziehen. Beachten Sie hierzu die Hilfssymbole, die beim Ziehen erscheinen.

1.
Klicken Sie auf „Als neues Profil speichern“ unter Layout & Optionen. Wählen Sie anschließend einen Namen aus. Sie können das Profil später auch öffentlich setzen, unter Profile verwalten.